REQUEST A TOUR If you would like to see this home without being there in person, select the "Virtual Tour" option and your agent will contact you to discuss available opportunities.
In-PersonVirtual Tour

$ 65,000
Est. payment /mo
Active
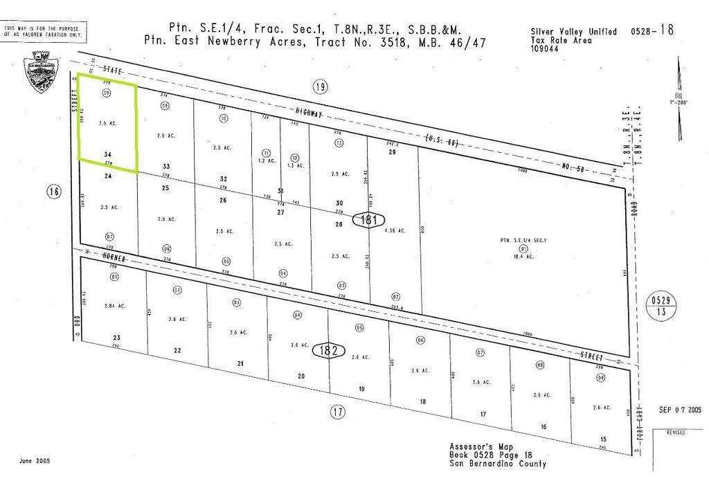
528181 08 National Trails HWY Newberry Springs, CA 92365
2 Sqft Lot
UPDATED:
Key Details
Property Type Vacant Land
Listing Status Active
Purchase Type For Sale
MLS Listing ID 536009
HOA Y/N No
Lot Size 2 Sqft
Property Description
***COME VIEW AND MAKE AN OFFER TODAY! 2 and 1/2 acre COMMERCIALLY ZONED CORNER PARCEL located on Historic Route 66 and Ord St in expanding Newberry Springs, CA. The site is less than one block from the Interstate-40 and Fort Cady exit that sees tens of thousands drive by everyday on their way east to to Arizona and beyond. The parcel is adjacent to utility lines and is on paved frontage, close to the Newberry Mountain RV park. The commercial zoning allows for many possibilities from RV/Boat/Semi storage, billboards, service stations, and camping to name a few. There aren't many affordable, commercially zoned parcels close to an interstate exit, making this site a must see opportunity before it's too late. ***
Location
State CA
County San Bernardino
Interior
Fireplace No
Exterior
Utilities Available Electricity Available, Phone Available, Sewer Not Available
View Y/N Yes
View Desert
Building
Lot Description Horse Property, Level
Sewer None
New Construction No
Others
Tax ID 0528181080000
Acceptable Financing Cash, Submit
Horse Property Yes
Listing Terms Cash, Submit
Special Listing Condition Standard

Listed by Jeffrey Nyal Coldwell Banker Home Source 7608877779







